ỦY BAN NHÂN DÂN THÀNH PHỐ HÀ NỘI CỘNG HOÀ XÃ HỘI CHỦ NGHĨA VIỆT NAM Độc lập – Tự do – Hạnh phúc Số:2209/QĐ-UBND Hà Nội, ngày 25 tháng 04 năm 2025 QUYẾT ĐỊNH Về việc phê duyệt Nhiệm vụ Quy hoạch phân khu đô thị phía Tây Vành đai 4 – […]
Lưu trữ Danh mục: App tra quy hoạch Hà Nội
Ngày 22/10/2025, UBND xã Nội Bài nhận được Văn bản số 367/BQLĐAKT&DV về việc phối hợp lấy ý kiến cơ quan quản lý nhà nước, chuyên gia và cộng đồng dân cư có liên quan đối với QHPK đô thị phía Tây Vành đai 4 – phân đoạn 1 (Bắc sông Hồng), tỷ lệ 1/2000. […]
ỦY BAN NHÂN DÂNTHÀNH PHỐ HÀ NỘI Số: 5295/QĐ-UBND CỘNG HÒA XÃ HỘI CHỦ NGHĨA VIỆT NAMĐộc lập – Tự do – Hạnh phúc Hà Nội, ngày … tháng … năm 2025 QUYẾT ĐỊNH Về việc phê duyệt phương án, vị trí tuyến đường nối sân bay Nội Bài qua đô thị vệ tinh Sóc […]
Phó Chủ tịch UBND Thành phố Nguyễn Trọng Đông vừa ký ban hành Quyết định số 5295/QĐ-UBND ngày 24/10/2025 về việc phê duyệt phương án, vị trí tuyến đường nối sân bay Nội Bài qua đô thị vệ tinh Sóc Sơn đến đường nối Khu du lịch Đại Lải (tỉnh Phú Thọ), tỷ lệ 1/500. […]
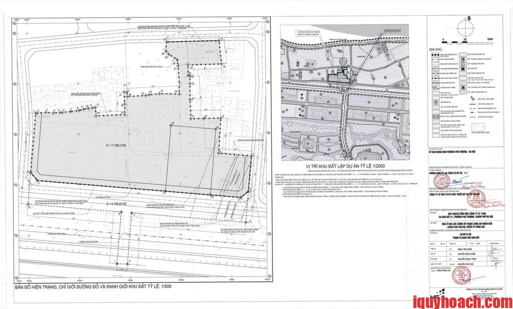
UBND phường Phú Thượng đã có Văn bản số 639/UBND-KTHT&ĐT ngày 10/10/2025 về việc chấp thuận Quy hoạch tổng mặt bằng tỷ lệ 1/500 tại khu X1, phường Phú Thượng, thành phố Hà Nội. Theo đó, UBND phường Phú Thượng chấp thuận Quy hoạch tổng mặt bằng tỷ lệ 1/500: Dự án Nhà ở cho lực lượng vũ trang […]
UBND phường Ngọc Hà vừa ban hành Thông báo số 14/TB-HTKT&ĐT công khai Đồ án Quy hoạch chi tiết tỷ lệ 1/500 hai bên bờ tuyến sông Tô Lịch. Thực hiện chỉ đạo của UBND thành phố Hà Nội tại văn bản số 493/TB VP ngày 06/8/2025 và hướng dẫn của Sở Quy hoạch – […]
PHÂN KHU ĐÔ THỊ SÔNG HỒNG ▪ Diện tích 11.000ha ▪ Trục giữa của Thủ đô, trải dài 40km ▪ 7.800ha thuộc phạm vi sông Hồng TỔNG THỂ ➤ Phù hợp với định hướng trong quy hoạch phân khu, quy hoạch giao thông đã được phê duyệt ➤ Đáp ứng các quy định của Luật […]
Phát triển đô thị theo mô hình TOD Các định hướng chiến lược: Phát triển đô thị theo mô hình TOD: Quy hoạch phát triển theo định hướng TOD là lấy định hướng phát triển hệ thống giao thông công cộng làm nền tảng cho việc quy hoạch và quá trình phát triển đô thị. […]
Quyết định 3650/QĐ-UBND ngày 03/07/2025 Về việc phê duyệt đồ án Điều chỉnh cục bộ Quy hoạch chi tiết Khu nhà ở Văn La, tỷ lệ 1/500 – tại các ô quy hoạch ký hiệu CT2A, CT2B, CT3B và P3 Địa điểm: Phường Phú La, quận Hà Đông (phường Kiến Hưng sau sắp xếp), thành […]
GIỚI THIỆU XÃ ĐA PHÚC Bản đồ hành chính xã Đa Phúc, thành phố Hà Nội Thành lập xã Đa Phúc trên cơ sở nhập toàn bộ diện tích tự nhiên và dân số của các xã: Tân Hưng, Bắc Phú, Việt Long, Xuân Giang, Kim Lũ, Xuân Thu, Đức Hoà (huyện Sóc Sơn). […]








