UBND phường Phú Thượng đã có Văn bản số 639/UBND-KTHT&ĐT ngày 10/10/2025 về việc chấp thuận Quy hoạch tổng mặt bằng tỷ lệ 1/500 tại khu X1, phường Phú Thượng, thành phố Hà Nội.
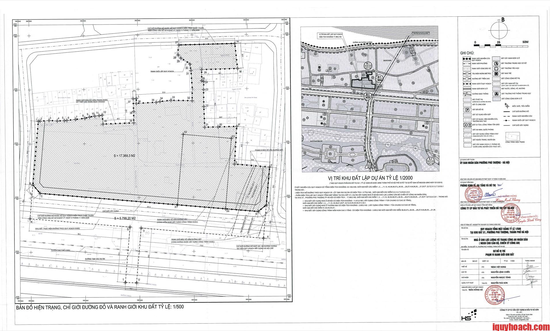
Theo đó, UBND phường Phú Thượng chấp thuận Quy hoạch tổng mặt bằng tỷ lệ 1/500: Dự án Nhà ở cho lực lượng vũ trang Công an nhân dân tại khu X1, phường Phú Thượng, thành phố Hà Nội. Ô đất có diện tích: 23.148,5m2, trong đó ô đất lập quy hoạch Tổng mặt bằng tại khu X1, phường Phú Thượng có diện tích 17.369,3m2và phần mở rộng đường theo quy hoạch cùng lối vào tạm dự án có diện tích 5.779,2 m2.

Tải đầy đủ bản vẽ tại: 2810qhphu-thuong-17616391375521653772141.pdf
Theo Quy hoạch phân khu đô thị H2-1, tỷ lệ 1/2000 đã được UBND Thành phố Hà Nội phê duyệt tại Quyết định số 6632/QĐ-UBND ngày 02/12/2015, khu đất lập quy hoạch gồm hai ô B1 – N08 là đất ở đô thị và B1-MN4 là đất nhà trẻ.
Quá trình triển khai, Công ty Cổ phần Đầu tư và Phát triển Đô thị Tây Hà Nội cần lưu ý: Nhà ở tại khối nhà ở xã hội cao tầng bố trí tại tầng 1 và 2 của công trình, diện tích tối thiểu 2.295 m2 phải đảm bảo diện tích sân chơi, lối đi riêng phục vụ học sinh và quy định về an toàn vệ sinh môi trường, phòng cháy chữa cháy; diện tích không gian sinh hoạt cộng đồng tại khối nhà ở xã hội tối thiểu 796, khối nhà ở thương mại tối thiểu 166. Căn hộ nhà ở xã hội phải đảm bảo phù hợp với tiêu chuẩn diện tích nhà xã hội theo quy định tại Nghị định số 100/2024/NĐ-CP ngày 26/7/2024. Diện tích xây dựng công trình phải đảm bảo phù hợp với mật độ xây dựng được duyệt, tầng cao công trình phần nổi tuân thủ Thông tư số 06/2021/TT-BXD ngày 30/6/2021 của Bộ Xây dựng.
Khi lập dự án đầu tư, triển khai thi công xây dựng phải tiến hành khảo sát cụ thể hiện trạng sử dụng đất, các công trình ngầm và nổi hiện có tại dự án và có liên quan theo quy định, đồng thời phải đảm bao tiêu thoát nước chung cho khu vực. Khi thiết kế phương án kiến trúc công trình phải đảm bảo các chỉ tiêu quy hoạch kiến trúc và định vị mặt bằng công trình theo các tiêu chí đã khống chế tại Bản đồ quy hoạch tổng mặt bằng sử dụng đất và Sơ đồ tổ chức không quan kiến trúc cảnh quan; thiết kế kiến trúc công trình đẹp, hiện đại, phù hợp với công năng sử dụng, kết nối hài hòa không gian kiến trúc cảnh quan của khu vực.
Lựa chọn và trồng cây xanh đô thị đúng chủng loại và phù hợp với điều kiện tự nhiên, khí hậu, cảnh quan thiên nhiên, bố cục không gian kiến trúc và kết hợp hài hòa với hệ thống cây xanh hiện có trong khu đô thị. Sử dụng trang thiết bị chiếu sáng tiết kiệm năng lượng, các loại vật liệu thân thiện môi trường, các thiết bị hiệu suất cao tiết kiệm năng lượng. Có giải pháp, yêu cầu chiếu sáng phù hợp đối với các khu chức năng khác nhau.
Tại các vị trí phương tiện ra, vào khu đất cho phép hạ hè để mở các lối ra, vào khu đất. Xây dựng các trụ sạc cho xe điện tại tầng hầm công trình đảm bảo các yêu cầu an toàn về phòng cháy chữa cháy và số lượng trụ sạc/số đỗ xe theo quy định. Xây dựng các trạm biến áp cục bộ, tủ cáp thông tin để cấp nguồn cho khu đất. Các trạm biến áp sử dụng trạm cột, trạm treo hoặc bố trí trong công trình.
Trước khi tiến hành đầu tư xây dựng cần khảo sát kỹ các công trình ngầm và nổi trong khu vực; đảm bảo kết nối hệ thống giao thông cho người dân sinh sống không khu vực. Chỉ giới xây dựng phần ngầm không vượt quá chỉ giới đỏ, ranh giới khu đất lập quy hoạch.
Liên hệ với cơ quan chức năng để được hướng dẫn thực hiện đầy đủ nghĩa vụ về đầu tư, tài chính, đất đai, an toàn phòng cháy chữa cháy, xây dựng theo đúng quy định pháp luật hiện hành của Nhà nước và Thành phố.
UBND phường Phú Thượng giao Phòng Kinh tế, Hạ tầng và Đô thị kiểm tra, xác nhận hồ sơ, bản vẽ đồ án Quy hoạch Tổng mặt bằng, tỷ lệ 1/500 tại khu đất X1, phường Phú Thượng; chịu trách nhiệm kiểm tra, giám sát việc xây dựng theo quy hoạch, kịp thời xử lý các trường hợp xây dựng vi phạm trật tự xây dựng theo thẩm quyền và quy định của pháp luật.
Tham gia nhóm Zalo Quy hoạch Hà Nội để tải bản đồ quy hoạch
Mở Zalo, bấm quét QR để tham gia nhóm trên điện thoại
Bấm vào đây để tham gia nhóm